İhsaniye 2104 Ada 18. Madde Uygulaması

CHP 12.10.2023 14:56:45 0
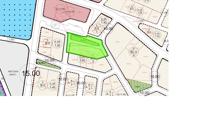
İhsaniye 2104 Ada 18. Madde Uygulaması

İlçemiz İhsaniye Mahallesi 2104 ada 5-6-7-8-9-10-15-16-17-18 ve 19 nolu parselleri kapsayan 3194 Sayılı İmar Kanununun 18. Madde uygulama çalışmalarına ait dağıtım cetvelleri ve parselasyon planları 11.10.2023 - 13.11.2023 tarihleri arasında (1) Bir ay süre ile İmar ve Şehircilik Müdürlüğü’nde ve Belediyemiz ilan panosunda ilan edilecektir.

Yukarıda yazılı ilan metninin Yerel Gazete, Yerel TV, Belediyemize ait internet sitesi, ilan panosu ve gazetesinde 1 (Bir) Ay süre ile ilan edilmesi uygun bulunmuştur.


Balıkesir,Bandırma Belediyesi
Anahtar Kelimeler: ihsaniye 2104 ada 18. madde uygulaması

62. Uluslararası Antalya Altın Portakal Film Festivali Başlıyor

Manisa Büyükşehir Belediyesi'nden Selendi'de Tohum Desteği

Toroslar Belediye Başkanı Yıldız, Öğrencileri Kuvayi Milliye Karargâhı Müzesi'nde Ağırladı

Toroslar'da Kırsal Mahalle Yolları Kilit Parke ile Yenileniyor

ASAT Genel Müdürü Konyaaltı'nda altyapı ve asfalt çalışmalarını inceledi

Eskişehir Şehir Tiyatroları'ndan Romantik Komedi: 'Aşk Listesi'

Eskişehir'de Yeşil Dalga Sistemi 100. Yıl Bulvarı'na Yayıldı

İstanbul'un Veri Güvenliği KVKK ve Resmi Protokollerle Sağlanıyor

İstanbul'da Fırtına ve Kuvvetli Yağış Uyarısı

19°