Yenimahalle'de Trafo Alanı İmar Planı Değişikliği Onaylandı

CHP 4.02.2026 14:20:10 0
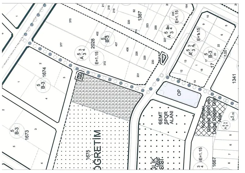
Yenimahalle

Yenimahalle 1674 ada 3 parselin güneyindeki alana 'Trafo Alanı' amaçlı Uygulama İmar Planı (UİP) değişikliği teklifi, Bandırma Belediyesi Meclisi'nin 7 Ekim 2025 tarih ve 92 sayılı kararı ile kabul edildi.

Büyükşehir Onayı ve Askı Süreci

Onaylanan plan değişikliği teklifi, daha sonra Balıkesir Büyükşehir Belediyesi Meclisi'nin 13 Ocak 2026 tarih ve 107 sayılı kararı ile onandı. 3194 sayılı İmar Kanunu'nun 8/b maddesi uyarınca, değişiklik bir ay süreyle ilan edilmek üzere askıya çıkarıldı ve Bandırma Belediyesi'nin internet sitesinde yayınlandı.

İlan Duyurusu

Konuyla ilgili taraflara ilanen duyuruldu. Duyuru tarihi 3 Şubat 2026 olarak belirlendi.


Balıkesir,Bandırma Belediyesi

Balıkesir,Bandırma Belediyesi

Tepebaşı Arama Kurtarma Ekibi AFAD Akreditasyonu Aldı

Çorlu Belediye Başkanı Ahmet Sarıkurt'tan 6 Şubat Depremi Anma Mesajı

Yalova Belediye Başkanı Gürel'den 6 Şubat Depremi Yıl Dönümü Mesajı

Küçükçekmece'de 6 Şubat Depremlerinin 3. Yılı Anıldı

AGİP Mecliste Çalışmalarını Sundu: İklim Mücadelesi Yerelde Başlar

Yalova'da Deprem Anması ve İkram Etkinliği

Eskişehir'de 'Sevgi Eli' Projesi ile Binlerce Kişiye Evde Bakım

YASMEK 2025'te 1.732 Kişiye Eğitim Verdi, 2026'ya 310 Kursiyerle Başladı

Behiç Erkin Adlandırmasına Teşekkür

15.5°